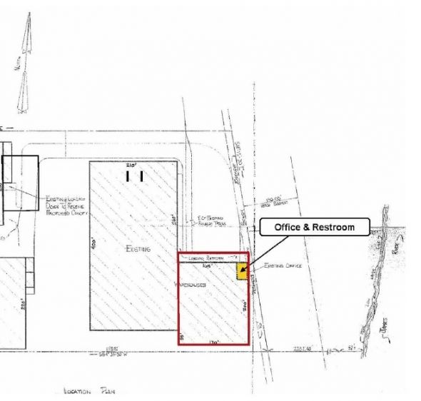
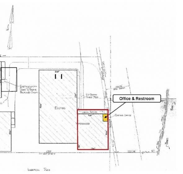
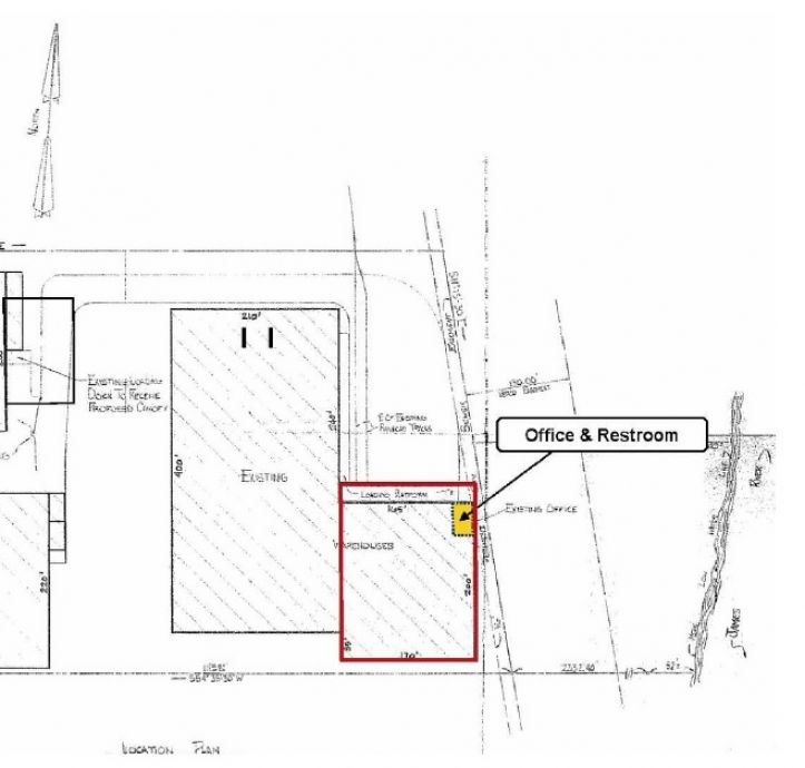
SVN/Motleys is proud to make 36,000 SF of warehouse space available for lease. Highlights include:
- Immediate I-95 Access @ Bells Road (Exit 69)
- Includes Office/Restroom
- Gross Lease
- 10 Docks + Enclosed Loading Platform
- Up to ~24' Clear Ceilings
- Zoned M-2 Heavy Industrial
- Dry Sprinkler System
- Enterprise Zone (Richmond City)
- Additional Warehouse & Lot (Priced Separately)
For More Information, Please Contact Mark Motley at (804) 822-3125.
Disclaimer: As licensed Brokers, Motleys is required to submit any pre-sale offers to the seller. Contact Motleys for pre-sale offers. Information, including electronic advertising, printed material, oral statements and photographs, that is provided has been gathered from sources deemed reliable but is not guaranteed for any reason. Information contained herein is believed to be correct to the best of the auctioneer/agent's knowledge but is NOT guaranteed. Sellers, their representatives and auctioneer/agent shall not be liable for inaccuracies, errors, or omissions. Oral announcements made at time of sale take precedence over any other statements or advertisements. This property, (ies) is subject to prior sale and may be withdrawn, modified or cancelled at any time without notice.













